Apr 19, 2023
Developers Break Ground on $87M Beaumont Site in Kissimmee, Florida
GrowthSpotter
The New York developer selected by Kissimmee to redevelop the former Beaumont government complex has begun site development for the $200 million mixed-use project.
Skyview Companies paid the city $1.45 million on Tuesday as the first installment of the total $2.74 million purchase price that was approved in 2021. The same day the developer secured a $52.7 million construction loan from Sumitomo Mitsui Trust Bank, and Japanese bank with offices in New Jersey.
“They’re very excited about the Florida market and specifically our greater Kissimmee market, and they saw the value in it,” Skyview consultant Mario Farias said. “They came in and they’ve been great partners to us.”
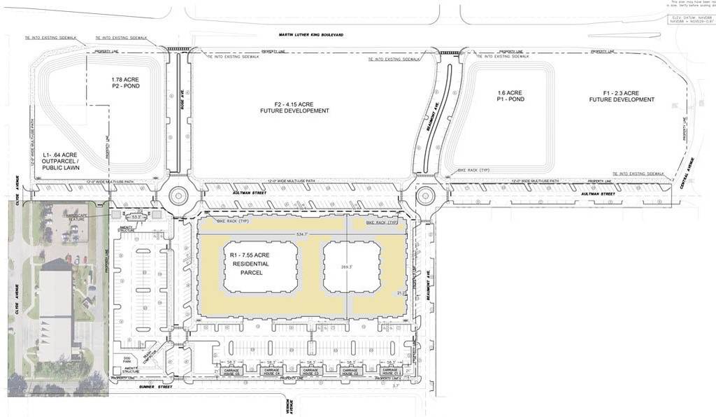
The 20-acre site will be developed in three phases. Phase 1 will consist of the extension of the city street grid, utilities, and master stormwater system, along with a 4-story, market rate apartment building. It has an estimated cost of $87 million. Phases 2 and 3 will include additional market rate apartments, neighborhood retail locations and medical offices.
The 23-acre Beaumont site will be developed in three phases, starting with the 4-story Allen Apartments. (Harris Civil Engineering)
Skyview has already begun clearing the site and is awaiting final approval for the building permit for the 312-unit Allen Apartments. Once they begin vertical construction, Skyway will target a 14-18 month timeframe for delivering the first units. The Allen Apartments will have an amenity spaces in the two private courtyards.
“We have a lot of room for different activities,” Farias said. “Like pickleball will be there. We’ll have a pretty large pool area there that allows for boundary shelves and sundeck lounges and cabanas, and, and then the other courtyards it’s more of a serenity-type garden feature with a fountain.”
The design team included Charlan Brock Architects, Foster Conant and HPA Design Group. They worked closely with executives at Osceola Regional Medical Center during the design process. “We asked a lot of questions of the HR department and the leadership there, and also the nurses and techs and doctors to make sure we had everything they need to live closer to the hospital and what they would seek,” Farias said. “That’s important — to know your audience.”
The clubhouse will have a fitness center, a game room and lobby with work spaces and reflection areas. There’s also a dog park and grooming center.
Skyview Companies is known for projects like Sky View Parc in Flushing, New York. The firm opened its Florida office here in 2020.

